华夏文明古国历史悠久文化灿烂于世,不仅因为拥有至今依然沿用几千年的汉字,这是世界几大文明古国唯一不曾中断演进而继续广泛使用的文字,不仅维系了中国和全世界华人文化的传承和联接,而且早在三千年前就有上千首辑录而成的古代中国最优美的诗篇。到了春秋时代,中国古代教育家孔子对这些诗歌进行了整理,选编了三百首,这就是后来成书的《诗经》。下面是《诗经》中提到的所有生物图解。
关关雎鸠,在河之洲,窈窕姝女,君子好逑。
注:《诗经》首篇中“关关雎鸠,在河之洲。窈窕淑女,君子好逑。”的爱情诗句流传千古,其“雎鸠” 经专家考证是指一种分布范围最广、数量最多的猛禽-鹗(Pandion haliaetus)。
《诗经》把鹗写入爱情作品并非空穴来风,鹗的求偶过程的确非常值得称道,繁殖季节雄鸟经常捕捉大鱼献给雌鸟以示爱意,还会向雌鸟卖弄高超的飞行技术以证明自己的基因质量不错,雌鸟也会相应的随之上下翻飞,成功结合后,“渔夫”和“渔妇”经常比翼双飞,“关关”高唳。
参差荇菜,左右流之。窈窕淑女,寤寐求之…

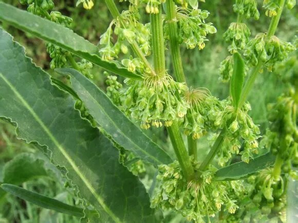
蒹葭苍苍,白露为霜。所谓伊人,在水一方。溯洄从之,道阻且长。溯游从之,宛在水中央…
注:蒹,草本植物,长在水边芦苇一类的草,又名荻。葭,初生的芦苇。
蒹

葭
葭
焉得萲草,言树之背。愿言思伯同,便我心痗。
注:《诗经》里的谖草,指的便是萱草,朱子注的诗经里,解“谖”为忘忧之意,所以萱草
又有忘忧草的美名。
又有忘忧草的美名。
丘中有李,彼留之子。彼留之子,贻我佩玖。

东门之栗,有践家室。岂不尔思?子不我即!

茑与女萝,施于松上。
注:女萝,即松萝,攀附植物。
终朝采绿,不盈一掬……
注:此处的绿,即荩草。
葛之覃兮,施于中谷,维叶萋萋。黄鸟于飞,集于灌木,其鸣喈喈…

桃之夭夭,灼灼其华。之子于归,宜其室家…

采采苤苢,薄言采之。采采苤苢,薄言有之…

鲂鱼赪尾,王室如毁。虽则如毁,父母恐迩…

维鹊有巢,维鸠居之。之子于归,百两御之…

喓喓草虫,趯趯阜螽。未见君子,忧心忡忡…

蔽芾甘棠,勿剪勿伐,召伯所茇…

摽有梅,其实七兮。求我庶士,迨其吉兮…

野有死麇,白茅包之。有女怀春,吉士诱之…
燕燕于飞,差池其羽。之子于归,远送于野。瞻望弗及,泣涕如雨…

燕燕于飞,差池其羽。之子于归,远送于野。瞻望弗及,泣涕如雨…
凯风自南,吹彼棘心。棘心夭夭,母氏敂劳…

雄雉于飞,泄泄其羽。我之怀矣,自诒伊阻…

匏有苦叶,济有深涉。深则厉,浅则揭…

习习谷风,以阴以雨。黾勉同心,不宜有怒。采葑采菲,无以禁止… 
山有榛,隰有苓。云谁之思?西方美人。彼美人兮,西方之人兮…

投我以木瓜,报之以琼琚,菲报也,永以为好也…

黍

稷

中谷有蓷,日暵乾矣。有女仳离,嘅其叹矣。嘅其唉矣,遇人之艰难矣…

绵绵葛藟,在河之浒。终远兄弟,谓他人父。谓他人父,亦莫我顾…

彼采艾兮,一日不见,如三岁兮…

有女同车,颜如舜华,将翱将翔,佩玉琼琚…

山有扶苏,隰有荷华。不见子都,乃见狂且…

溱与洧,方涣涣兮。士与女,方秉蕳兮…
注:蕳,即兰草,又名佩兰。
彼汾且洳,言采其莫。彼其之子,美无度。美无度,殊异乎公路…
注:莫,酸模,草本植物,幼叶可食,一说羊蹄菜。

注:莫,酸模,草本植物,幼叶可食,一说羊蹄菜。
彼汾一曲,言采其荬。彼其之子,美如玉。美如玉,殊异乎公族…
注:荬,泽泻草,水生,可食入药。
注:荬,泽泻草,水生,可食入药。
蟋蟀在堂,岁聿其莫。今我不乐,日月其除。无以大康,直思其居。好乐无荒,良士瞿瞿……

山有枢,隰有榆。子有衣裳,弗曳弗娄。子有车马,弗驰弗驱。宛其死矣,他人是愉。
注:枢,刺榆树。
榆,榆树,通称榆钱。

肃肃鸨羽,集于苞栩…悠悠苍天,曷其有所?
注:鸨,鸟名,似雁,头小颈长,背部产,尾巴短,不善飞,能涉水。栩,柞树。
栩

葛生蒙楚,蔹蔓于野。予美亡此,谁与独处?
注:蔹,白蔹,多年生草本植物。
采苓采苓,首阳之巅。人为之言,苟亦无信…
注:苓,茯苓,一种甘草。
鴥彼晨风,郁彼北林。未见君子,忧心钦钦。如何如何,忘我实多…
注:晨风,鹯鸟,一种鹞鹰。
坎其击鼓,宛丘之下。无冬无夏,值其鹭羽…
中唐有甓,邛有旨鹝。谁侜予美,心焉惕惕。
注:鹝,俗称火鸡。
彼泽之陂,有蒲与荷。有美一人,伤如之何?寤寐无为,涕泗滂沱。

冽彼下泉,浸彼苞萫。忾我寤叹,念彼京师。
注:萫,多年生草本植物,茎有鳞,全草入药,茎叶含芳香油,古代用它的茎占卜,通称蚰蜒草或锯齿草。
鸿飞遵渚,公归无所,於女信处。
注:鸿,即鸿鹄,即天鹅,因飞得高远,常喻志向远大的君子。
鸱鸮鸱鸮,既取我子,无毁我室。恩斯勤斯,鬻子之闵斯。
注:鸱鸮,鸟类一科,头大,嘴短而弯曲,吃鼠、兔、昆虫等小动物,鸱鸺、猫头鹰等属于此科。
脊令在原,兄弟急难。每有良朋,况也永叹。
注:脊令,鹡鸰,一种水鸟,习惯于成群飞行,好比兄弟共处,在原野比喻人有落难。
采薇采薇,薇亦刚止。曰归曰归,岁亦阳止。
注:薇,古书指巢菜,俗称野豌豆。
思乐泮水,薄采其茆。
注:茆,即莼菜。
自伯之东,首如飞蓬。岂无膏沐,谁适为容?
注:飞蓬,学名狼尾蒿。
瞻彼淇奥,绿竹猗猗。有匪君子,如切如磋,如琢如磨…
注:此处的竹是扁蓄,语出《尔雅》,这种野草平卧生长,古时候也做为充饥的蔬菜,很常见。
翘翘错薪,言刈其蒌;之子于归,言秣其驹。
注:蒌,即芦蒿。
陟彼南山,言采其蕨。未见君子,忧心惙惙。亦既见止,亦既觏止,我心则说。
谁谓荼苦,其甘如荠。宴尔新婚,如兄如弟。

爰采唐矣?沬之乡矣。云谁之思?美孟姜矣。期我乎桑中,要我乎上宫,送我乎淇之上矣。
注:诗中的“唐”,指的正是旋花科里的菟丝子。
我行其野,芃芃其麦。控于大邦,谁因谁极?大夫君子,无我有尤。百尔所思,不如我所之。

定之方中,作于楚宫。揆之以日,作于楚室。树之榛栗,椅桐梓漆,爰伐琴桑。
注,桐,即梧桐。
昔我往矣,杨柳依依,今我来思,雨雪霏霏……
肃肃鸨行,集于苞桑。王事靡盬,不能蓺稻粱。父母何尝?悠悠苍天!曷其有常! 
防有鹊巢,邛有旨苕。谁侜予美?心焉忉忉。
注:苕,紫云英,豆科植物,嫩叶可食。一说凌霄花,一说翘摇,一说苇花。
南山有台,北山有莱。乐只君子,邦家之基。乐只君子,万寿无期。
注:台:通“苔”,莎草。《集传》:“台,须,即莎草也。”
籊籊竹竿,以钓于淇。岂不尔思?远莫致之。 
沒有留言:
張貼留言